实拍!海淀北部这条地铁线路有进展!13B线软件园站已搭建围挡
血拼北京楼市 2021-09-03 17:09:21
用手机看
扫描到手机,新闻随时看
扫一扫,用手机看文章
更加方便分享给朋友
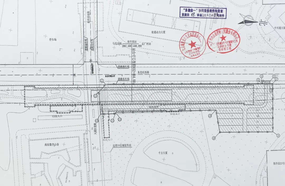
哈喽大家好。今天和大家分享一则海淀北部发展建设的消息。 地铁13号线扩能提升工程,也就是大家常说的拆分工程,拆分后的13号线将分为A线和B线。 其中B线起点为既有13号线东直门站,终点至马连洼站,实现与地铁16号线换乘。可以算是进入海淀山后地区的第二条地铁线路了。 前不久,位于后厂村路附近的软件园站


哈喽大家好。今天和大家分享一则海淀北部发展建设的消息。
地铁13号线扩能提升工程,也就是大家常说的拆分工程,拆分后的13号线将分为A线和B线。
其中B线起点为既有13号线东直门站,终点至马连洼站,实现与地铁16号线换乘。可以算是进入海淀山后地区的第二条地铁线路了。

前不久,位于后厂村路附近的软件园站临时建设用地已经被围挡隔开。

这块建设用地的具体位置就在东北旺西路与软件园南街相交路口东侧。




声明:本文由入驻焦点开放平台的作者撰写,除焦点官方账号外,观点仅代表作者本人,不代表焦点立场。







