DC专栏丨萧山当代乡土住宅的自发性建造研究(一)——新旧嫁接:老宅的生长丨段威 周超
扫描到手机,新闻随时看
扫一扫,用手机看文章
更加方便分享给朋友
文/段威 周超
段威/北京林业大学园林学院园林建筑教研室讲师,清华大学建筑学院工学博士
周超/北京林业大学园林学院建筑学硕士研究生
摘要:试图以浙江萧山农村地区的聚落和住宅的物质形态为样本,通过实地调研和取样20处住宅,解读其形式逻辑,分析其形成过程中的外部条件,总结萧山农村地区蓬勃的自发建造活动在本地村镇转型背景下的实践经验。
关键词:乡土住宅、萧山、自发建造、新旧嫁接
Abstract: This paper tries to read the form logic and analyze the external conditions in the process of its information based on the shape of the housesin the rural areas of Xiaoshan and the field survey of the 20 houses. This paper aim tosummarize the spontaneous construction activities in Xiaoshan rural areas of the practical experience of transformation between villages and townsin the background of village transformation.
Keywords: vernacular architectur, Xiaoshan, spontaneous construction, between old and new
经过近四十年的改革开放,农村的面貌已经发生了颠覆性的改变,而这其中,浙江杭州市郊区的萧山地区是当中的一个典型样本。萧山农村地区的自发建造活动不仅经历了近50年跨度的5轮更新,还形成了独特的聚落形态和明显的形象特征。更重要的是,萧山的经济,社会,文化和物质形态共同组合成了一个稳定的系统,相互支持,相互依存,极具活力。如何在新的历史条件下释放乡村的活力,萧山的模式无疑为当下的语境提供了一种参考。
为了尽量客观而全面的还原萧山地区的村庄自发性更新的全貌,作者从中筛选出了6个建制镇,以期较为全面的进行的考察。落实在具体的乡土住宅样本上,作者在不同的建制镇,按照随机,多样而广泛的原则选取了不同数量的样本,共考察了6个建制镇137处农民住宅,详细访谈并测绘了其中20处。下面就是一个典型的样本。
建筑基本信息:
编号:020
位置:义蓬镇金星村
初次建造时间(新宅):2006年
使用时间(新宅):6年
建筑层数:新宅:3.5层
残留老宅:2.5层
建筑面积:
新宅:住宅底层面积:96.2m²
住宅面积:355.8m²
残留老宅:住宅底层面积:66m²
住宅面积:165m²
附属房面积:84.8m²
结构体系:新宅框架结构,老宅混合结构
住宅规格:大户
口述成员信息:
姓名:金英
年龄:28
性别:女
文化程度:初中
家庭称谓:儿媳
工作:民营企业出纳
收入来源:工资
年收入:3~4万元
金英作为家里的媳妇,目前在萧山的一家民营企业从事出纳工作,她还有一个健康的宝宝,去年刚刚出生。这户人家的住宅非同寻常,因为这不是一个独立的住宅,而是新老两栋住宅拼接并生长在一起的一个结果。据金英介绍,在2006年筹措更新自家住宅的时候,她跟丈夫刚刚结婚,家里决定建造一个更大的住宅作为婚房。婆媳并不期望完全住在一栋楼里,“独立成户”的申请得不到村里的指标,家里决定尝试在保留部分老宅的基础上新建住宅,一方面可以让两户独立的核心家庭有各自的私密居所,另一方面也能获得更大的使用面积,当然,最重要的原因还有一个,萧山的政策规定“一户一宅”,因此期望在宅基地上并立两座住宅显然是不可能被政府接受的,因此,在众多的限定因素下,“新旧嫁接”成为了不多的靠谱选择。

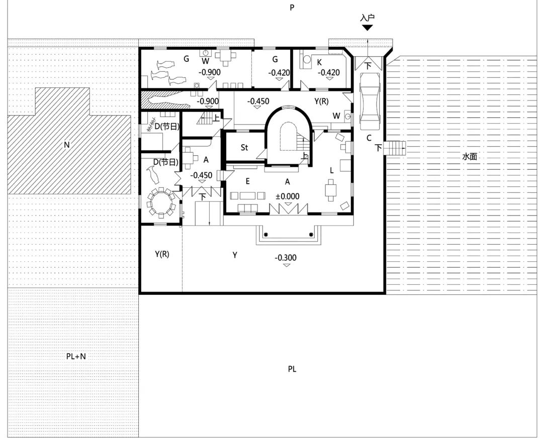
新旧嫁接的住宅

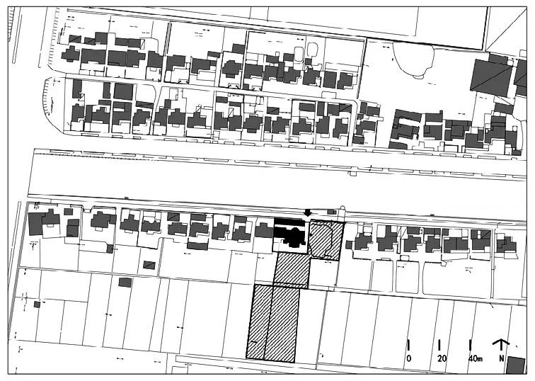
老宅区位图
金英婆家的这种老宅和新宅合并嫁接的案例并非个案,作者在其他村镇也曾发现过相似的样本,可以推测,此住宅的策略可能是“取经”而得。从残留的老宅平面推测,老宅为比较典型的1980年代末期样式,三开间,外廊连接,双坡瓦房,底层保留了堂间和节日聚会用餐厅,二层则主要是金英公婆的住所,顶层为隔热层,堆放杂物。老宅的东侧的一个开间被拆除,主体结构保留,并与东侧新建的住宅相连。新旧建筑的层高基本相同,只是基础高度相差三步台阶的高度,由每层的台阶相互联系。金英和丈夫孩子生活在新宅之中,底层主要是起居和客厅,二层为寝室,两户人家的餐厅和厨房都在北侧的配房中,平时的生活也基本集中在新宅的底层进行。新宅的样式比较类似于1990年代末期的风格的演化版本,开间更大,结构体系升级为框架结构,楼梯间样式更奢华等,但空间仍然是三开间对称结构。
这栋“新旧嫁接”的住宅最惊奇之处在于其大胆的设想和充满勇气的实践,另一方面,也保留了一个萧山乡土住宅演化的夸张的样本。

老宅

二层老宅

新宅
萧山的住宅更新往往受限于宅基地的边界和领域,部分受限于规模的扩张,而采取了一种夸张的嫁接的方式,将新建住宅和老住宅连接在一起,共同组合成一种新的整体。很难界定,保存的老宅究竟是主房的一部分,亦或是“变异”的配房,这种奇特的配房,本书称之为共生型配房,这是一类极端特殊的配房,因为它们已经很大程度上与主房无法分离彼此了。“共生”是生物科学中一个非常重要的概念,指的是不同生物密切生活在一起(Living Together),在生理上相互依存并且达到平衡的状态1。共生理论和方法在二十世纪中期以来在各个学科领域都逐步受到重视,在西方的经济学和社会学理论界,少数研究者还提出了一种被称之为“共生方法”的经济学研究框架2。在建筑学领域内,首先提出“共生”这一概念的是黑川纪章,他在1959年就撰写了论文《从机械原理的时代走向生命原理的时代》,他认为建筑和城市不是建好之后就固定下来了,而是继续发展和变化的,应该以生命周期和循环的方式来看待建筑和城市。“共生”就是其“新陈代谢”理论的核心组成之一3。如果借用黑川纪章先生的想法,将建筑当做一个“生命体”来看待,萧山的乡土住宅确实是一群不可多得的样本。





参考文献
1 洪黎民. 共生概念发展的历史、现状及展望. 中国微生态学杂志, 1996, 8(4): 50-54.
2 胡晓鹏.产业共生:理论界定及其内在机理.中国工业经济, 2008(9): 57.
3 黑川纪章(日). 共生城市. 建筑学报,2001(4): 7-12.
乡见与乡建
本栏目主要是一系列的针对不同地域乡村的探访与调研,以建筑规划景观为主要视角。“乡见”即为记录下对乡村的所见,更多地集中于空间、结构和形态等方面;“乡建”则可更多地理解为我们对于乡民的建设行为及成果的记录整理,不仅包含当代的建设行为,更包括历史中乡村历代先人不断进行的营建与调整工作,正是这些带有朴素批判与创新意识的延续建设过程,使得乡村聚落得以有机地生长发展至今。同时,我们也保持对异域他乡的好奇,也在尝试着发现分析他乡建设的特色之处。记录、整理与比较的目的在于发现规律,也即是希望乡村继续鲜活地存在下去的依据。

钱云
英国Heriot-Watt大学博士,现任教于北京林业大学园林学院城市规划系

周政旭
清华大学博士,现任教于清华大学建筑学院城市规划系

段威
清华大学博士,现任教于北京林业大学园林学院建筑教研室
微信编辑:李鑫瀚

本文刊载于《住区》总第77期“乡见与乡建”
转载请注明出处
更多详细内容,请到淘宝店:住区杂志
购买《住区》总第77期“乡见与乡建”
声明:本文由入驻焦点开放平台的作者撰写,除焦点官方账号外,观点仅代表作者本人,不代表焦点立场。
