地上总建筑面积15688.12平方米,长阳将新筹建开发一处文娱用地
扫描到手机,新闻随时看
扫一扫,用手机看文章
更加方便分享给朋友
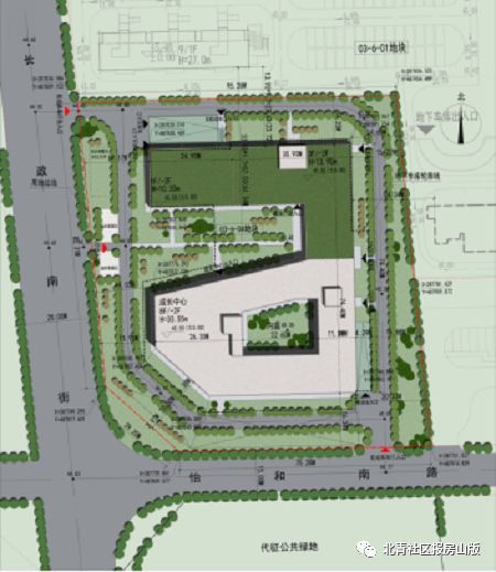
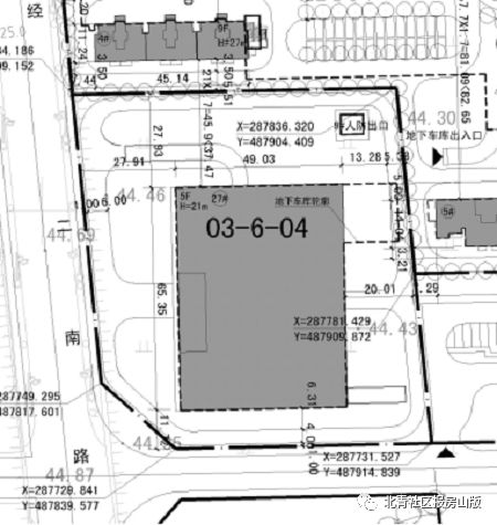
本报讯(记者 胡可)北青社区报记者日前从房山区政府获悉,中铁房地产集团北方有限公司对房山区长阳镇长阳起步区6号地文化娱乐用地项目规划设计方案进行调整,新建筑为文娱设施包括地上8层,地下3层。

中铁房地产集团北方有限公司于2010年5月20日通过竞拍取得北京市房山区长阳镇起步区6号地居住项目(中小套型普通商品住房)国有建设用地使用权,其中居住用地、托幼用地开发完毕并投入使用,目前正在筹备开发建设C3文化娱乐用地;
项目四至如下:东至长阳国际城幼儿园;西至长政南街,南至怡和南路,北至长阳国际城小区。为了提升项目整体品质、适应时代发展需求,充分考虑周边人居环境的情况下对设计方案进行优化调整。


项目具体经济技术指标调整情况如下:建设用地面积9805.08平方米;地上总建筑面积15688.12平方米;容积率1.6,绿地率30%,建筑控制高度36米,主体建筑局部地上8层,地下3层,(原方案为地上5层地下2层);地下机动车停车位251个(原方案为102个);新增地下非机动车停车位628个。
识别二维码,下载“北京头条”APP
“让现在告诉未来”
声明:本文由入驻焦点开放平台的作者撰写,除焦点官方账号外,观点仅代表作者本人,不代表焦点立场。







